-
Bauherrschaft
Stadt Winterthur, Tiefbauamt
Schweizerische Bundesbahnen SBB AG - Leistungen SIA Phase 21
- Bearbeitung 2023 - 2024
Im Ausbauschritt AS 2035 ist die Erstellung der neuen Haltestelle Winterthur Grüze Nord sowie die Verlängerung des Perrons Gleis 6/7 im Bahnhof Winterthur Grüze vorgesehen. Ostseitigen Varianten haben zur Konsequenz, dass der Bahnübergang Talackerstrasse Nord über die Frauenfelderlinie (Haltestelle Grüze Nord), als auch der Talackerstrasse Süd über die St. Galler-Linie (Bahnhof Grüze, Verlängerung Perron Gleis 6/7) aufgehoben würden.
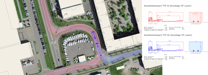
Die Schliessung des Bahnübergangs Talackerstrasse Nord hat zur Folge, dass eine alternative Route für Ausnahmetransporte Typ IA von Oberwinterthur mit Ziel Sulzerallee, resp. für Ausnahmetransporte Typ IIB in den Südosten der Stadt Winterthur, sowie weiter Richtung Tösstal oder Elsau/Elgg gesucht werden müsste. Die Zielorte der Ausnahmetransportroute Typ IIB wären auch betroffen, wenn nur der Bahnübergang Talackerstrasse Süd geschlossen würde.
dsp wurde beauftragt, die Machbarkeit einer Führung der Ausnahmetransportroute über die Seenerstrasse zur Sulzerallee zu untersuchen. Dies umfasste Schleppkurvenprüfungen entlang der Strecke, die Prüfung von Massnahmen bei der Unterquerung bestehender Bauwerke (z.B. UF Seenerstrasse) sowie Abklärungen zur Tragfähigkeit der überquerten Bauwerke (z.B. Strassenbrücke Sulzerallee über Seenerstrasse).